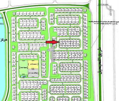
قسم البيع
صف اول علي البحر
صف اول علي البحر - واجهه عريضه
بطن وظهر واجهه عريضه
صف اول / مساحه كبيره
بطن وظهر علي الفحيحيل
زاويه شارعين
واجهه عريضه 18 مترتقريبا
ارتداد ملاصق كبير جدا
ثلاث واجهات - ساحه مشتركه